智能
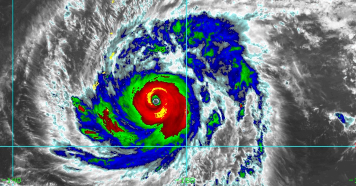
辛樂克又強又大!氣象專家示警:下周「這天」全台有雨
兩波鋒面及水氣增多,專家解析颱風辛樂克動態,20日後全台降雨機率明顯提升,天氣轉趨不穩。
不斷更新/空拍人海震撼畫面曝!白沙屯媽祖跨大肚橋進彰化了
白沙屯媽祖「粉紅超跑」進香進入第二天行程,今(14)日一早已進入台中大肚區,沿途吸引大批香燈腳與民眾跟隨參拜,現場人潮眾多、氣氛熱烈。
花蓮發生規模4.1地震 各地震度一次看!
中央氣象署測定,今(12日)清晨05:46花蓮縣政府東南方42.3公里處外海,發生規模4.1地震,地震深度21.6公里。
陸重啟滬閩赴台自由行 旅行社仍盼「開放團客」
兩岸目前皆無開放團客來往,旅行社業者原先預期在鄭習會後,由中國方面主動釋出利多,不過根據國台辦公布的惠台大禮包,在觀光方面,僅恢復上海與福建居民自由行。
快訊/伊朗突宣稱:擊落敵方先進戰機!
伊朗軍方發言人今(9)日突透過社群平台及官方媒體宣布,伊朗軍方已擊落至少1架敵方的先進戰機。然而,該份聲明對於擊落的具體時間點、地點,以及所謂「敵方」之身份均未
以色列狂轟黎巴嫩釀182死!川普:未納入停火協議
儘管美國與伊朗於2026年4月達成暫時停火協議,但中東局勢再度劇烈動盪。以色列軍方於當地時間8日對黎巴嫩首都貝魯特(Beirut)及周邊地區發動大規模空襲,造成
3個股飆漲被「抓去關」列處置股 聯發科入列注意股
台股今(1)日出現多檔個股波動劇烈,臺灣證券交易所與櫃買中心同步公告最新處置與注意股名單。其中共有3檔個股被列入處置股,並自明(2)日起至4月17日止。
伊朗擊落美軍無人機? 專家:疑為中國版死神
1架疑似中國製無人機「翼龍2型」在伊朗遭擊落,操作者疑為沙烏地或阿聯操作的。此事件若屬實,將是海灣國家首度直接深入伊朗領空執行軍事任務
LINE爆異常登出潮!帳號「被消失」 網急關閉1功能自保
LINE傳大規模異常登出,不少用戶帳號疑遭盜用或消失,網傳與語音信箱漏洞有關。官方尚未說明原因,專家建議先關閉語音信箱、修改密碼自保。
清明大翻身!5星座財運狂飆 正財偏財一起來
2026年4月星象鼎盛,水火星進駐白羊點燃行動力,月中現「四星連珠」奇景。各星座在清明感懷中迎來事業突破、人際重組與財運契機,宜把握能量開創新局。










